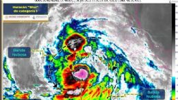
Morelia, Michoacán.- La mañana del día miércoles, el ciclón tropical Blas tomó fuerza y evolucionó a huracán, Categoría 1, según el Servicio Meteorológico Nacional (SMN). Este jueves, continúo como tal sin presentar algún cambio relevante, no obstante, debido a que provocará fuertes lluvias en diversos puntos de México, una entidad ha decidido suspender clases, a fin de evitar tragedias o exponer a la población infantil.
La Secretaría de Educación Pública del Estado de Michoacán (SEP) informó que se suspenderán las clases y actividades escolares presenciales debido a las fuertes lluvias que traerá el huracán Blas. Los municipios en los que se aplicará esta medida son Lázaro Cárdenas, Arteaga, Aquila, Coahuayana y Chinicuila. Esta medida trascendió en medios locales y nacionales la mañana de este jueves 16 de junio del 2022.
Asimismo, autoridades exhortaron a las escuelas a realizar jornadas de limpieza en los planteles escolares, como lo es lavado de techos, de coladeras y el desazolve de las bajadas de lluvia a fin de evitar inundaciones. También se le solicitó a la comunidad educativa a desconectar la energía eléctrica y resguardar documentos y materiales importantes, pues estos podrían resultar dañados con el paso del siniestro por la región.
Cabe destacar que ni el SMN ni la Comisión Nacional del Agua (Conagua) han alertado porque el huracán Blas impacte con tierras mexicanas, sin embargo, debido a que provocará lluvias torrenciales en al menos tres entidades, es clave tomar medidas necesarias a fin de evitar tragedias. Blas es el segundo fenómeno natural de la temporada de huracanes 2022. El primero fue Agatha, el cual azotó Oaxaca y dejó nueve víctimas mortales y cuatro desaparecidos.
Se recomienda a la población seguir alerta a los comunicados de Protección Civil de cada entidad.
Fuente: TRIBUNA
