¡Síguenos!
Inicio
Sonora
México
Mundo
Espectáculos
Opinión
Deportes
Política y Economía
Tendencias
Campo
Edición Impresa
¡Síguenos!
Edición Impresa
Suscríbete
Fotografías
Fotonoticias
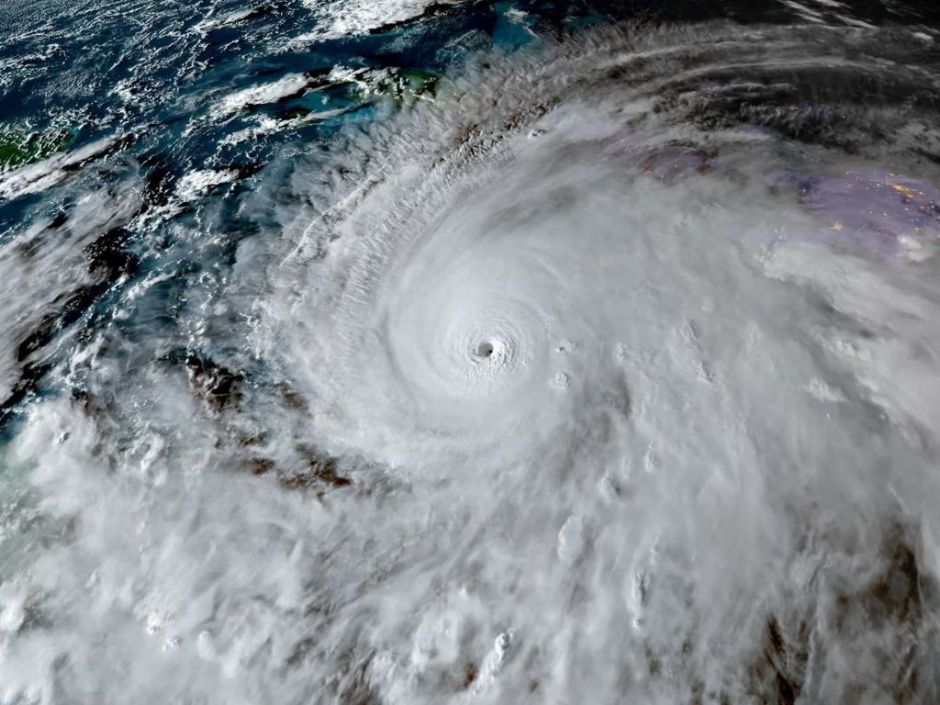
El paso del huracán 'Melissa' en Jamaica y Cuba
1 de 5
El paso del huracán Melissa en Jamaica y Cuba.
2 de 5
El paso del huracán Melissa en Jamaica y Cuba.
3 de 5
El paso del huracán Melissa en Jamaica y Cuba.
4 de 5
El paso del huracán Melissa en Jamaica y Cuba.
5 de 5
El paso del huracán Melissa en Jamaica y Cuba.
Otras Galerías
4
30/3/2026
Tumba de 'El Mencho' se vuelve atractivo turístico en Jalisco
5
27/3/2026
Guardia Nacional se une a los trabajos de limpieza de las playas de Veracruz
5
26/3/2026
Debate del Plan B de Reforma Electoral termina en confrontación entre Lilly Téllez y Saúl Monreal
5
25/3/2026
Comienzan labores de limpieza tras derrame de hidrocarburos en playas de Veracruz
5
24/3/2026
En medio de la crisis, llega a Cuba ayuda humanitaria del convoy 'Nuestra América' que partió desde México
4
24/3/2026
EU envía portaaviones USS Nimitz a América Latina para su última misión contra el narcoterrorismo
5
23/3/2026
Conmemoran en el Zócalo de la CDMX 50 aniversario del Golpe de Estado en Argentina
4
21/3/2026
Inicia el Festival de Flores en el Monumento a la Revolución de la Ciudad de México
¿Tienes una denuncia ciudadana que quieras reportar?
Envíanos tu mensaje y nuestros reporteros se acercarán al lugar de los hechos.
denunciaciudadana@tribuna.com.mx
Haz clic y envía tu denuncia. Tu información será tratada con total confidencialidad.
Inicio
Sonora
México
Mundo
Espectáculos
Opinión
Deportes
Política y Economía
Tendencias
Campo
Edición Impresa
Síguenos