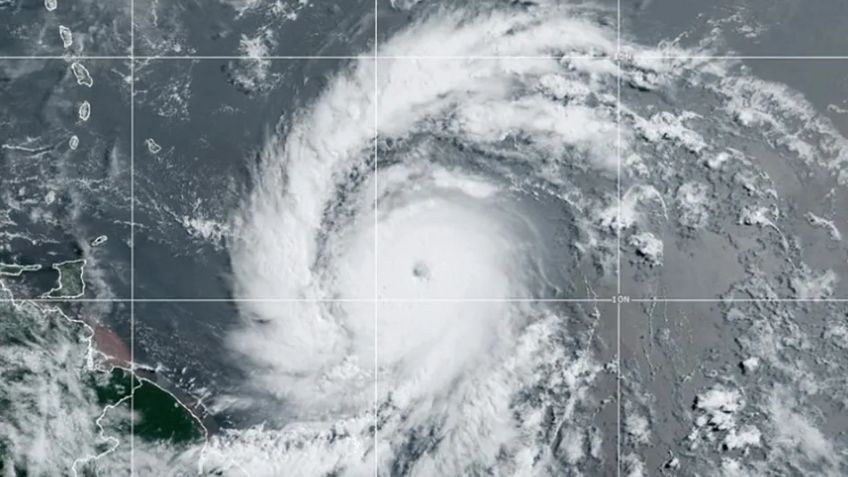
Ciudad de México.- La mañana de este domingo, la Comisión Nacional del Agua (Conagua) y el Servicio Meteorológico Nacional (SMN) confirmaron que el huracán ‘Baryl’, el cual amaneció como categoría tres ya se intensificó a nivel cuatro en la escala Saffir-Simpson. ¿Este fenómeno natural representa un peligro para el sur de la República Mexicana? Aquí en TRIBUNA te compartimos todos los detalles.
Mediante un boletín, el SMN y la Conagua detallaron que el huracán 'Baryl' ya evolucionó a categoría cuatro y que se ubica a 565 kilómetros al este-sureste de barbados, y a 3 mil 590 kilómetros al este-sureste de Cancún, Quintana Roo. De acuerdo con el último reporte, el fenómeno meteorológico avanza hacia el oeste a 33 kilómetros por hora, con rachas de viento de 260 kilómetros por hora.
¿El huracán 'Baryl' representa un peligro para México?
Si bien México se encuentra en la temporada de huracanes y ya se han presentado fenómenos meteorológicos que han impactado con el territorio nacional (como el caso del huracán 'Alberto' hace una semana en Veracruz, Tamaulipas y Nuevo León), la realidad es que este nuevo ciclón no representa un peligro para la nación, ya que está lejos de la Península de Yucatán, a miles de kilómetros.
Además, la Conagua y el SMN esperan que ‘Beryl’ reduzca su intensidad a partir del martes 2 y que sea hasta el próximo viernes 5 de julio de 2024 cuando se aproxime a las costas de la Península de Yucatán.
Conagua alerta lluvias en México
Por otra parte, las dependencias señalan que este domingo 30 de junio una zona de baja presión con probabilidad para desarrollo ciclónico asociada con la onda tropical No. 6 se desplazará frente a las costas de Veracruz, produciendo lluvias puntuales torrenciales en los estados de Tamaulipas, San Luis Potosí, Querétaro, Hidalgo, Puebla, Oaxaca y Veracruz; así como fuertes a intensas en estados del centro y sur del país, además de la Península de Yucatán.
En tanto, se prevén vientos fuertes a muy fuertes con posible formación de trombas marinas y oleaje elevado en las costas de Tamaulipas, Veracruz y Tabasco. Durante la noche de hoy domingo o madrugada del lunes, la zona de baja presión con probabilidad para desarrollo ciclónico ingresará sobre la costa centro-norte de Veracruz. TRIBUNA comparte el pronóstico del clima aquí.
Fuente: Tribuna / Comisión Nacional del Agua
