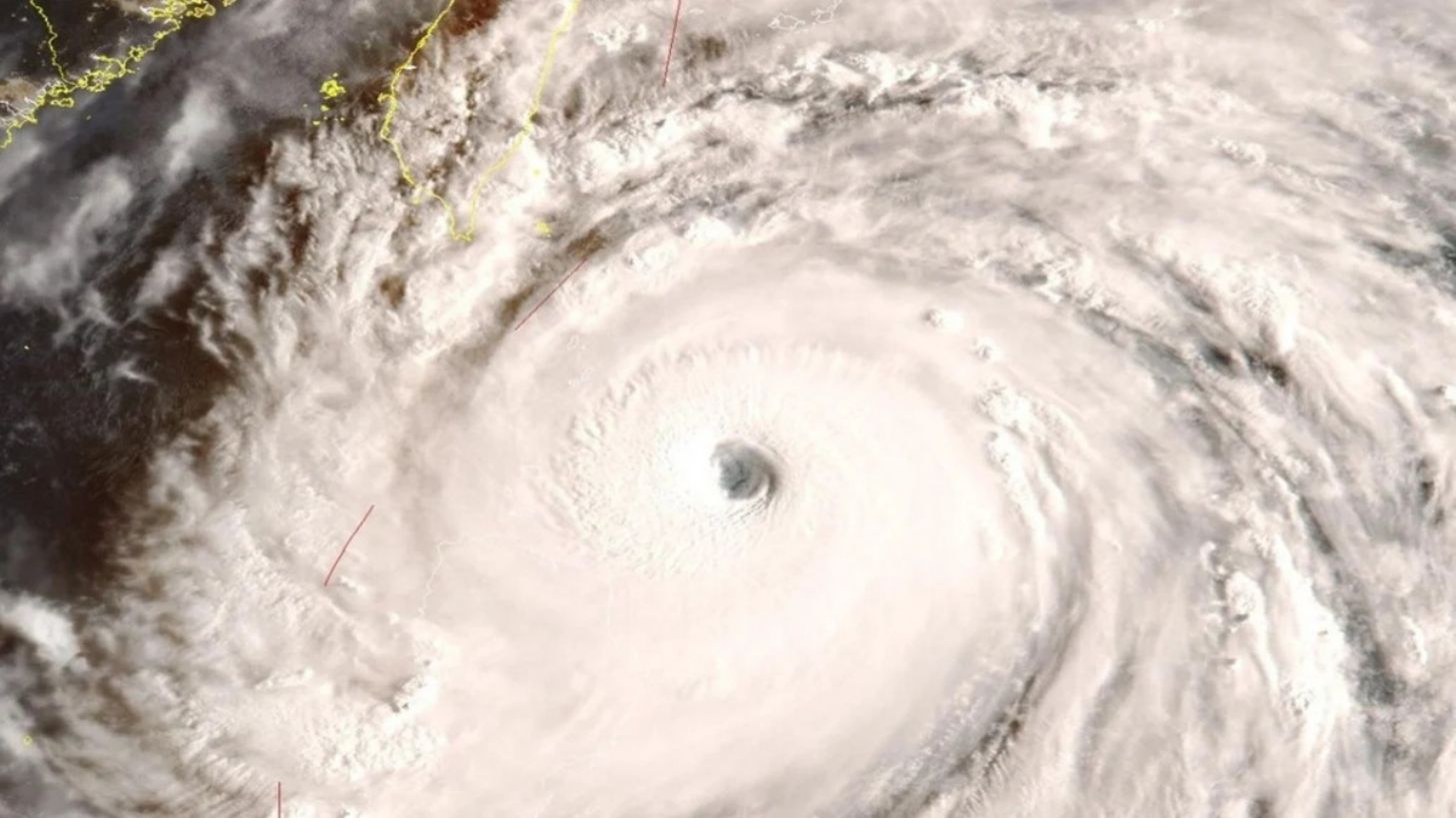
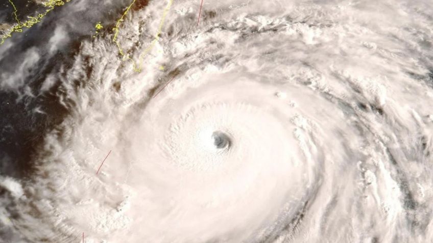
Taipéi, Taiwan.- El paso del supertifón Ragasa continúa dejando severas afectaciones en Asia oriental. Hasta este miércoles 24 de septiembre, el ciclón tropical más intenso de 2025 ha dejado un saldo de al menos 17 personas fallecidas en Taiwán y millones de evacuados en China. Asimismo, se pasó a ha provocado inundaciones, destrucción de infraestructura y la paralización de actividades económicas en distintas regiones.
En Taiwán, el mayor impacto se registró en el municipio de Guangfu, donde el desbordamiento del lago natural sobre el cauce del arroyo Matai’an generó una fuerte inundación entre las 14:50 y las 16:30 horas locales del martes. El colapso de la presa natural de sedimentos ocasionó la muerte de 17 personas; además, dejó 32 heridos y 17 desaparecidos. Autoridades reportaron que 135 residentes fueron rescatados con vida en las últimas horas; sin embargo, las cifras podrían cambiar.
El primer ministro Cho Jung-tai solicitó una investigación para determinar por qué las órdenes de evacuación no se cumplieron de manera adecuada, a pesar de que la zona era monitoreada desde julio debido al riesgo de colapso.
Ragasa impacta en China
La llegada de Ragasa también afectó de manera considerable a Hong Kong, donde ráfagas de hasta 200 kilómetros por hora y lluvias torrenciales obligaron a las autoridades a activar la alerta máxima de tifón. La Oficina Meteorológica local elevó la señal al nivel 10, lo que derivó en la suspensión total de clases, transporte público, actividades comerciales y servicios no esenciales.
Hasta el mediodía del miércoles se contabilizaban 62 heridos en la región, entre ellos una madre y su hijo de cinco años, quienes fueron arrastrados por el mar el martes y permanecen hospitalizados en estado grave. Ante este siniestro, el Gobierno de Hong Kong habilitó 49 refugios que han dado resguardo a 791 personas.
En el sureste de China, Ragasa tocó tierra alrededor de las 17:00 horas locales en la isla de Hailing, en la ciudad de Yangjiang, provincia de Cantón. De acuerdo con el Observatorio Meteorológico, el ciclón registró vientos sostenidos de hasta 150 kilómetros por hora. Aunque se prevé que pierda fuerza gradualmente en su desplazamiento hacia el oeste, las autoridades mantienen activadas la alerta naranja por tifón y la roja por marejada ciclónica.
Como medida preventiva, fueron evacuados más de 1.89 millones de residentes de áreas vulnerables en Cantón. Solo en Shenzhen se desplazaron 400 mil personas, además de que se cerró el aeropuerto desde la noche del martes. En la capital provincial, la ciudad de Cantón, con cerca de 18 millones de habitantes, el Gobierno implementó los llamados 'cinco paros': suspensión de clases, trabajo, producción, transporte y comercio. Asimismo, fueron habilitados mil 570 refugios para atender a la población desplazada.
Cualquier novedad sobre este fenómeno natural en Asia será reportado por TRIBUNA.
Fuente: Tribuna del Yaqui
