FUERTE VIDEO: Devastador INCENDIO en Hong Kong deja más de una decena de muertos
26/11/2025 | Un incendio arrasó ocho torres en Hong Kong, dejando al menos 13 muertos y 15 heridos; continúan labores para rescatar a personas atrapadas
26/11/2025 | Un incendio arrasó ocho torres en Hong Kong, dejando al menos 13 muertos y 15 heridos; continúan labores para rescatar a personas atrapadas
13/11/2025 | Las declaraciones de Sanae Takaichi sobre una posible respuesta militar de Japón ante un ataque chino a Taiwán generaron una protesta formal de Pekín
10/11/2025 | China añadió a Estados Unidos, Canadá y México a los países que necesitan licencias de exportación especiales para ciertos precursores de fentanilo y metanfetamina
13/10/2025 | El secretario del Tesoro de Estados Unidos, Scott Bessent, confirmó que sigue en pie la reunión entre Donald Trump y Xi Jinping en Corea del Sur
30/9/2025 | El creador de contenido, Tang Feiji, perdió la vida en plena transmisión en vivo cuando volaba a bordo de un helicóptero bimotor
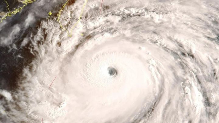
24/9/2025 | El tifón Ragasa dejó 17 muertos en Taiwán y provocó la evacuación de casi 2 millones de personas en China tras tocar tierra en Cantón
15/9/2025 | Donald Trump aseguró que el diálogo comercial con China en Madrid avanza "muy bien" y anticipó un acuerdo sobre TikTok antes del vencimiento legal
12/9/2025 | EU y China retomarán en Madrid las negociaciones comerciales, abordando TikTok, lavado de dinero y seguridad económica
10/9/2025 | México pretende elevar los aranceles sobre los automóviles fabricados en Asia hasta un 50 por ciento, según el secretario de Economía, Marcelo Ebrard
20/7/2025 | Las imágenes sobre el incidente comenzaron a viralizarse a través de redes sociales; algunos medios chinos aseguran que la fémina se quitó al vida tras no conseguir el juguete
14/6/2025 | China otorgará diez becas a estudiantes de la UNAM para aprender chino y realizar estancias en Beijing
11/4/2025 | China eleva al 125 por ciento los aranceles sobre productos de EU, en respuesta a las últimas medidas de Donald Trump; comenzarían a aplicarse mañana
10/4/2025 | A Hollywood ya le afectan los aranceles impuestos por Donald Trump a países como China, pues acaban de anuncia que reducirán la importación de filmes
Envíanos tu mensaje y nuestros reporteros se acercarán al lugar de los hechos.
denunciaciudadana@tribuna.com.mx Haz clic y envía tu denuncia. Tu información será tratada con total confidencialidad.